ขายที่ดินศรีราชา ชลบุรี ผังสีส้ม ใจกลางชุมชน เจ้าของขายเอง เหมาะพัฒนาโครงการทาวน์โฮม-คอนโด Low-rise

รายละเอียดเพิ่มเติม

รหัสทรัพย์ : PA0747

ขายที่ดินศรีราชา ชลบุรี ผังสีส้ม ใจกลางชุมชน เจ้าของขายเอง เหมาะพัฒนาโครงการทาวน์โฮม-คอนโด Low-rise



ที่ตั้ง : ถ.ศรีราชา-หนองยายบู่ 9 ต.สุรศักดิ์ อ.ศรีราชา จังหวัดชลบุรี 20110
แผนที่ : https://maps.app.goo.gl/PsC1B52f796rXhjH6

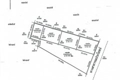
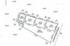
ขนาดพื้นที่ : 3 ไร่ 1 งาน 26.6 ตร.ว

รายละเอียด :
- หน้ากว้างประมาณ 60 เมตร ติดถนนสาธารณะกว้าง 6 เมตร
อยู่ใน ผังเมืองสีส้ม (ที่อยู่อาศัยหนาแน่นปานกลาง)

ที่ดินเหมาะสำหรับพัฒนา :
- โครงการบ้านจัดสรร / ทาวน์โฮม
- อาคารพักอาศัยรวม (Low-rise)
- อพาร์ตเมนต์ขนาดเล็ก–กลาง
- ธุรกิจที่ให้บริการชุมชน

สถานที่ใกล้เคียง :
- ตลาดสดศุภฤกษ์ 300 ม.
- Lotus’s ศรีราชา 1.3 กม.
- Robinson ศรีราชา 3.7 กม.
- J-Park ศรีราชา 4.7 กม.
- โรงพยาบาลพญาไท ศรีราชา 3.8 กม.

ราคาขาย : 36,500,000 บาท (36.5M)

สนใจติดต่อ
คุณธันยาลักษณ์ : 092-782-9514
ID : แอดผ่านเบอร์โทร

Land for Sale – Sriracha, Chonburi | Orange Zoning | Owner Direct Sale
Suitable for townhouse or low-rise condominium development
- Land size: 3 Rai 1 Ngan 26.6 sq.wah
- Frontage: approx. 60 meters
- Access: 6-meter-wide public road
- Zoning: Orange zone (medium-density residential)
Development potential
- Housing estate / Townhouse project
- Low-rise residential building
- Small to medium apartment project
- Community-serving commercial development
Surrounded by established residential communities and housing estates.
Adjacent land (approx. 2+ Rai) is also available for sale, allowing land consolidation to a total of approximately 6 Rai, significantly increasing development potential.
Prime location
Located on Sriracha–Nong Yai Bu Road 9, close to community facilities and amenities.
Ideal for project developers or long-term investors.
Asking price: THB 36.5 million (negotiable)
Direct sale by landowner.
Nearby landmarks
- Supharuek Fresh Market – 300 m
- Lotus’s Sriracha – 1.3 km
- Robinson Sriracha – 3.7 km
- J-Park Sriracha – 4.7 km
- Phyathai Sriracha Hospital – 3.8 km

Note:
The area has strong future potential due to the planned high-speed rail line, with a station located approximately 1.6 km from the property

Selling Price: 36,500,000 Baht (36.5M)

(subject to government policy and implementation).
📞 Contact: +66 92-782-9514
(Thai & English speaking | Call or LINE – same number)


中文版本(投资 / 开发商适用)
土地出售|春武里·是拉差(Sriracha)|橙色规划区|业主直售
适合开发联排别墅或低层公寓项目
- 土地面积:3 莱 1 颜 26.6 平方哇
- 临路宽度:约 60 米
- 道路条件:6 米宽公共道路
- 城市规划:橙色区域(中等密度住宅用地)
开发潜力
- 住宅项目 / 联排别墅
- 低层公寓(Low-rise)
- 中小型公寓项目
- 社区配套商业或服务型项目
土地周边为成熟住宅区及多个社区项目。
相邻地块(约 2 莱以上)目前也在出售中,可整合为约 6 莱 的开发用地,大幅提升项目规模与价值。
地段优势
位于 是拉差–农雅布 9 路(Sriracha–Nong Yai Bu Road 9),
靠近社区及生活设施,适合项目开发商或长期投资者。
售价:3,650 万泰铢(价格可协商)
业主直接出售。
周边配套
- Supharuek 生鲜市场 – 300 米
- Lotus’s 是拉差 – 1.3 公里
- Robinson 是拉差 – 3.7 公里
- J-Park 是拉差 – 4.7 公里
- Phyathai 是拉差医院 – 3.8 公里

售价:36,500,000 泰铢(36.5M)

备注:
该区域具备长期发展潜力,规划中的高速铁路站点距离土地约 1.6 公里(具体以政府政策及实施计划为准)。
联系方式: +66 92-782-9514
(可使用泰语及英语沟通|电话 / LINE 同号) Show More

รายงานปัญหาเกี่ยวกับประกาศนี้

ลงประกาศโดย

Prop ads

0927829514

0927829514

ดูประกาศอื่นๆ ของสมาชิกท่านนี้

ประกาศที่อยู่ใกล้เคียง

ขายที่ดินใกล้อ่างเก็บนำ้บางพระ ศรีราชา ชลบุรี

สอบถามราคาขาย

แบ่งขายที่ดินเปล่า 5 แปลง 21 ไร่ 3 งาน 45 ตร.ว. ใกล้เซ็นทรัล ศรีราชา ชลบุรี

ขาย 699,600,000 บาท

ขายที่ดิน 154 ตารางวา บางพระ ศรีราชา ชลบุรี  098 7755 808

สอบถามราคาขาย

ขายที่ดินแปลงสวย บ่อวิน ศรีราชา จ.ชลบุรี ขนาด 89-2-13 ไร่ ใกล้แหล่งชุมชน  ใกล้โรงพยาบาลปิยเวชช์บ่อวิน  สนามกอล์ฟ พัฒนา

ขาย 2,500,000 บาท/ไร่

ขายที่ดินถมแล้ว ในหมู่บ้านสหกรณ์ไทยออยล์ 2 แปลง 204 ตร.วา แปลงใหญ่ ติดถนนสายหลัก ศรีราชา ชลบุรี

ขาย 5,508,000 บาท

ขายที่ดิน 154 ตารางวา ใกล้อ่างเก็บนำ้บางพระ ศรีราชา ชลบุรี 083 610 6693

สอบถามราคาขาย

ขายที่ดินผังสีเหลือง ยกแปลง 24-3-43 ไร่ ทำเลทอง ใกล้แหล่งอุตสาหกรรม ต.เขาคันทรง อ.ศรีราชา จ.ชลบุรี

ขาย 64,630,000 บาท

ขายที่ดิน เก้ากิโล ต.สุรศักดิ์ ศรีราชา ซอยเก้ากิโล 31 ใกล้หมู่บ้านเอื้อาทร

ขาย 3,100,000 บาท

X

SHARE

Share Tweet Share

คำนวณการขอสินเชื่อ

เงินต้น/เงินกู้ (บาท)
สินเชื่อแบบ
จำนวนปีที่กู้
อัตราดอกเบี้ยต่อปี %
วันที่เริ่มสินเชื่อ

เงินต้น+ดอกเบี้ย -

ดอกเบี้ย -

ชำระเดือนละ -

Data Loading...
Data Loading...
ปี ค.ศ. ค่างวด เป็นดอกเบี้ย เป็นเงินต้น เงินต้นคงเหลือ คงเหลือทั้งหมด
ปี ค.ศ. ค่างวด เป็นดอกเบี้ย เป็นเงินต้น เงินต้นคงเหลือ คงเหลือทั้งหมด
X
BanKumKa.Com เป็นเว็บไซต์ศูนย์กลางสำหรับซื้อ-ขายอสังหาริมทรัพย์ของประเทศไทย ด้วยข้อมูลที่พร้อมทั้งคอนโดมิเนียม บ้านเดี่ยว ทาวน์เฮ้าส์ อาคารพาณิชย์ และที่ดิน ไม่ว่าจะเป็นโครงการใหม่หรือบ้านมือสอง อีกทั้งบทความและข่าวสารที่เกี่ยวกับอสังหาริมทรัพย์ เพื่อให้คุณได้คัดสรรทรัพย์ที่ดีที่สุดได้ในเว็บไซต์ BanKumKa.com ที่เดียว
เว็บไซต์ BanKumKa.Com มีการเก็บ Cookies ซึ่งเป็นการจัดการข้อมูลส่วนบุคคลและช่วยเพิ่มประสิทธิภาพการใช้งานเว็บไซต์ สามารถอ่านข้อมูลเพิ่มเติมได้ที่หน้า นโยบายความเป็นส่วนตัว ยอมรับ